Map Of Gulf Of Maine
The Gulf of Maine, a veritable treasure trove of marine biodiversity and geological wonder, captures the imagination of many. Its intricate coastline, replete with hidden coves and sprawling sandy beaches, calls out to adventurers and scholars alike. Maps of this region serve as more than mere navigational aids; they unveil the complexities of an ecosystem rich in life and lore.
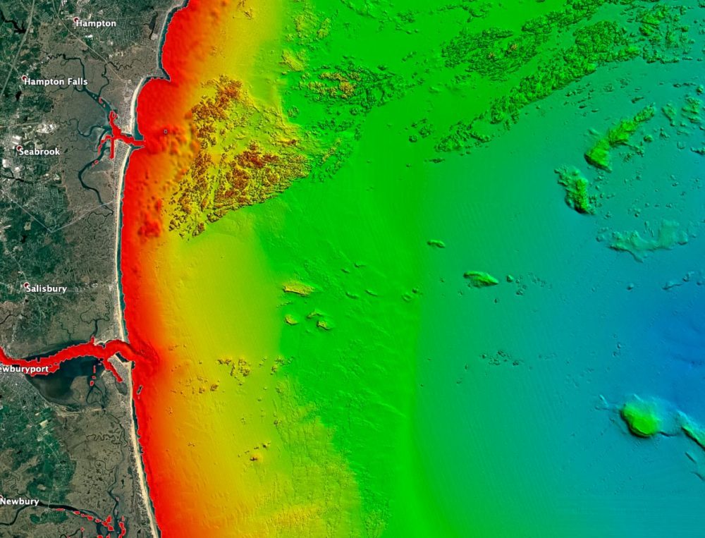
3D Gulf of Maine – StrikeLines Fishing Charts

This 3D representation of the Gulf of Maine is not only visually arresting but also serves as an essential tool for anglers. It meticulously illustrates underwater topography, revealing fishing hotspots and depths. This tactical layout helps fishermen predict fish behavior based on their habitats.
Contact: Paul Illsley

Paul Illsley’s work stands as a homage to the Gulf’s scenic vistas. This map juxtaposes natural landmarks with human activities, offering insights into the sustainable practices that help preserve this delicate ecosystem. Such delineations are imperative for understanding how anthropogenic factors interact with natural aquatic life.
3D Gulf of Maine – StrikeLines Fishing Charts

A second perspective on the 3D Gulf of Maine, this chart emphasizes fisherman access points and regional features. Its detailed contours invite exploration and underscore the significance of local knowledge in fishing success. This map fosters a connection between the water’s depths and the experienced hands that navigate them.
Currents map of the Gulf of Maine – Woods Hole Oceanographic Institution

The ocean currents map from the Woods Hole Oceanographic Institution delineates the dynamic flow of water that characterizes the Gulf of Maine. Understanding these currents is crucial for marine navigation and ecological balance. This map illustrates how currents influence nutrient distribution, impacting the various marine species that thrive in these waters.
Gulf of Maine | Maine: An Encyclopedia

This comprehensive map from Maine’s online encyclopedia offers an overview of the geographical and ecological significance of the Gulf. It encapsulates essential information about the marine environment, addressing both historical context and current conservation efforts. Maps like these are pivotal in educating the public on the need for stewardship of this remarkable aquatic realm.
If you are looking for Gulf of Maine: Council on the Marine Environment you’ve came to the right web. We have 10 Images about Gulf of Maine: Council on the Marine Environment like Contact: Paul Illsley, Gulf of Maine Map – Locations and Maps of Atlantic Ocean and also Gulf of Maine Map – Locations and Maps of Atlantic Ocean. Read more:
Gulf Of Maine: Council On The Marine Environment

www.gulfofmaine.org
Gulf of Maine: Council on the Marine Environment
Currents Map Of The Gulf Of Maine – Woods Hole Oceanographic Institution

www.whoi.edu
Currents map of the Gulf of Maine – Woods Hole Oceanographic Institution
Contact: Paul Illsley

paulillsley.com
Contact: Paul Illsley
3D Gulf Of Maine – StrikeLines Fishing Charts

strikelines.com
3D Gulf of Maine – StrikeLines Fishing Charts
3D Gulf Of Maine – StrikeLines Fishing Charts

strikelines.com
3D Gulf of Maine – StrikeLines Fishing Charts
Gulf Of Maine Map – Locations And Maps Of Atlantic Ocean

www.atlanticoceanmap.com
Gulf of Maine Map – Locations and Maps of Atlantic Ocean
3D Gulf Of Maine – StrikeLines Fishing Charts

strikelines.com
3D Gulf of Maine – StrikeLines Fishing Charts
3D Gulf Of Maine – StrikeLines Fishing Charts

strikelines.com
3D Gulf of Maine – StrikeLines Fishing Charts
Gulf Of Maine | Maine: An Encyclopedia

maineanencyclopedia.com
Gulf of Maine | Maine: An Encyclopedia
Gulf Of Maine – GOMMEA

gommea.org
Gulf of Maine – GOMMEA
3d gulf of maine – strikelines fishing charts. Gulf of maine – gommea. Gulf of maine map – locations and maps of atlantic ocean
